
相关视频:
飓风 梅丽莎正在继续在加勒比地区造成破坏性的进展,本周二以每小时260公里的风速和大雨席卷了牙买加。
当局警告称岛上的情况“极其危险”,并呼吁民众不要离开避难所。
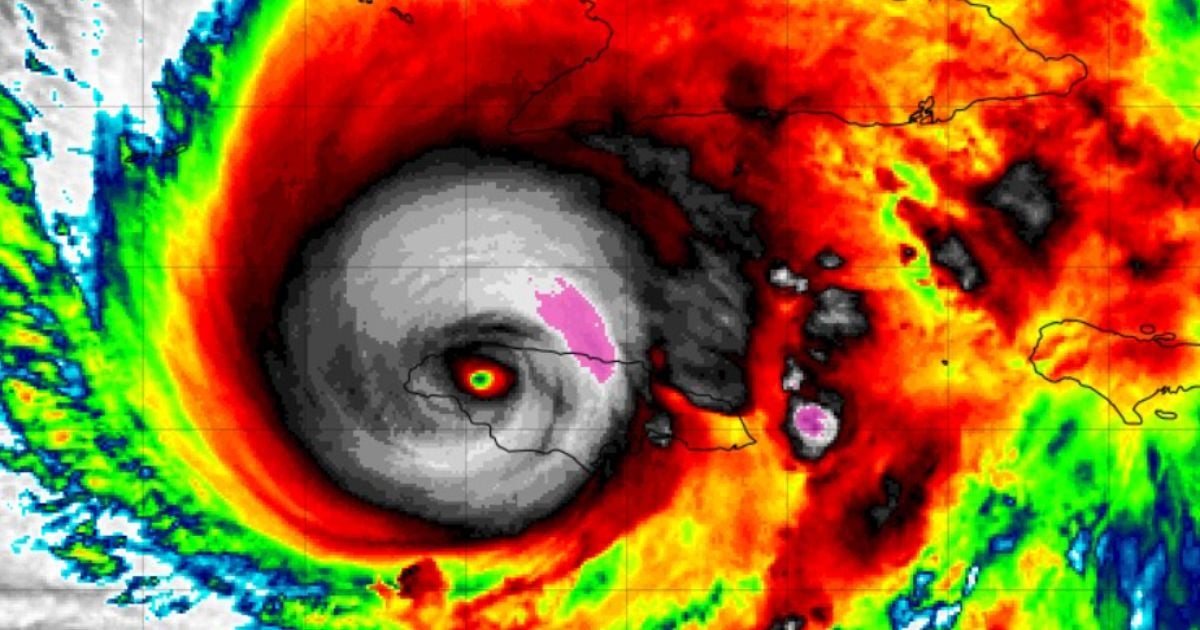
根据最新通报,该通报由美国国家飓风中心(NHC)于迈阿密时间下午3:00发布,梅丽莎位于牙买加西北部,正在造成灾难性的风浪和大范围的洪水。
警告敦促居民留在避难所,并警告在飓风眼经过后,风速将会加大。
飓风梅丽莎正在为牙买加带来灾难性的风暴、突发洪水和危险的风浪。请不要离开你的避难所。这是一个极其危险且可能致命的情况,”报告指出。
报告补充说,气旋的中心气压降至906毫巴,持续风速达到260公里每小时(160英里每小时),这使得Melissa仍然保持在5级飓风,属于萨菲尔-辛普森等级中的最高水平。
在一个 之前的公报中, 发布于下午2:00,美国国家飓风中心(NHC)已经将梅丽莎描述为一场“极其危险的飓风”,它正穿过牙买加的西部,风速达到165英里每小时(270公里每小时),最低气压为899毫巴。
报告详细说明,该系统以每小时13公里的速度向北东北方向移动,预计在穿越岛屿后,将在周三清晨影响古巴东部地区。
梅丽莎覆盖了广阔的加勒比地区,中央延伸出强烈的飓风风势,风力可达45公里,热带阵风的范围则可达到315公里。
这个现象还在牙买加南部海岸引发了9到13英尺(最高可达4米)的波浪,并可能在古巴东南部海岸产生8到12英尺的涌浪。
预计的降雨量同样严重:在牙买加将达到25到30英寸(超过700毫米),而古巴东部则为250到500毫米,这将增加灾难性洪水和山体滑坡的风险。
古巴的格兰玛省、圣地亚哥省、关塔那摩省、奥尔金省和拉斯图纳斯省 仍然处于飓风警报状态,而卡马圭、海地、巴哈马和特克斯和凯科斯群岛则处于热带风暴警告中。
La plataforma 独立的全球气象可视化工具 Windy 在周二估计,飓风梅丽莎 将于星期三黎明时分在 乌韦罗-奇维里科 地区,位于古巴圣地亚哥登陆,最大风速接近222公里每小时。
归档于: