
相关视频:
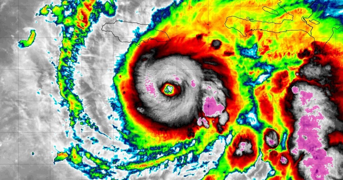
飓风梅丽莎在萨菲尔-辛普森等级上达到了4级,最大持续风速为每小时220公里(140英里),根据最新的 报告,由美国 国家飓风中心(NHC) 于10月26日(星期日)上午5:00(古巴时间)发布。
位于迈阿密的机构报告称,气旋的中心位于北纬16.3度,西经76.3度,距离牙买加金斯顿约195公里的东南方向,距离古巴关塔那摩约450公里的西南方向。梅丽莎正以每小时约7公里的速度缓慢向西移动,但预计将在周一和周二之间向北和东北方向转向。
在其预测路径中,飓风的中心可能在星期一和星期二之间影响牙买加,随后将于星期二晚上至星期三凌晨影响古巴东部,并保持强烈的强度。
古巴东部进入最高警戒状态
El NHC 发布了针对古巴格兰玛省、圣地亚哥-德古巴省、关塔那摩省和奥尔金省的飓风监测,预计从周二开始将出现倾盆大雨、洪水和山体滑坡。
Los pronósticos indican acumulados de 150到300毫米的降雨(6到12英寸),在古巴东部山区最高可达450毫米(18英寸)。NHC警告说,可能会发生突发洪水和潜在灾难性的泥石流。
Asimismo, se espera una 显著的风暴潮 en las costas del sur de Jamaica, con niveles de entre 9 y 13 pies (3 a 4 metros) sobre el nivel del mar, mientras que el sureste de Cuba podría experimentar un aumento peligroso del oleaje y de la penetración del mar a partir del martes en la noche.
牙买加和海地,也面临威胁
一项飓风警告已在整个牙买加生效,而飓风监视仍在海地西南部生效,从多米尼加共和国边境到太子港。在这两个国家,预计降雨量将在15到30英寸(380到760毫米)之间,局部地区可能达到1,000毫米(40英寸),可能导致灾难性的洪水和滑坡。
停电和信息不实加剧了古巴的紧急情况
Mientras该国东部在为Melissa的影响做准备,内部条件加剧了紧急情况。最脆弱的省份——Granma、Santiago de Cuba和Guantánamo——面临每天超过18小时的停电,这使得沟通、获取信息和准备应对迫在眉睫的危险变得更加困难。
El NHC 重申 从周二下午起,古巴东部可能会感受到飓风条件,并警告称 “保护生命和财产的准备工作必须立即完成”。
建议东部省份的居民密切关注古巴气象局和国家飓风中心的通报,并遵循民防部门的指示。
来源: 国家飓风中心 (NHC),公报 20 — 2025年10月26日,东部夏令时间上午5:00。
归档于: